Namera o sklenitvi pogodbe o ustanovitvi služnostne pravice v k.o. Lokavec
datum: 26.05.2017
kategorija: Obvestila - občinske nepremičnine
Občina Ajdovščina objavlja namero o ustanovitvi služnostne pravice na nepremičnini v lasti občine v k.o. Lokavec.
Občina Ajdovščina, Cesta 5. maja 6/a, 5270 Ajdovščina, na podlagi 31. člena Zakona o stvarnem premoženju države in samoupravnih lokalnih skupnosti (Uradni list RS, št. 86/2010, 75/2012, 47/2013-ZDU-1G, 50/2014, 90/2014 – ZDU-1I, 14/2015 – ZUUJFO in 76/2015) in 55. člena Uredbe o stvarnem premoženju države in samoupravnih lokalnih skupnosti (Uradni list RS, št. 34/2011, 42/2012, 24/2013, 10/2014 in 58/2016), objavlja
Namero o sklenitvi pogodbe o ustanovitvi služnostne pravice
Občina Ajdovščina objavlja namero o ustanovitvi služnostne pravice na nepremičnini v lasti občine, in sicer
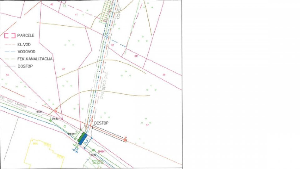
na parceli št. 2948/1 k.o. 2381 Lokavec:
- služnostna pravica za izgradnjo, obnovo in vzdrževanje vodovoda v dolžini 5,90 m in širini 1,50 m;
- služnostna pravica za izgradnjo, obnovo in vzdrževanje fekalne kanalizacije v dolžini 5,20 m in širini 1,50 m;
kot izhaja iz grafične priloge, v korist vsakokratnega lastnika parcele št. 43/1 in parcele št. 43/2, obe k.o. 2381 Lokavcec.
Služnostna pravica se namerava ustanoviti z neposredno pogodbo za nedoločen čas v korist služnostnega upravičenca.
Pogodba bo sklenjena po preteku 15 dni od objave te namere na uradni spletni strani Občine Ajdovščina.
Številka: 35024-45/2017-2
Datum: 26. 5. 2017
ŽUPAN
Tadej BEOČANIN










